Marmara'da 50 Yıllık Kayıp: THY 'Bursa' Uçağına Ait Yeni Parçalar İddiası

Youtuber Nedim Kuru ve ekibi su altı dronu ile 30 Ocak 1975'te düşen THY F-28 'Bursa' uçağına ait olduğu iddia edilen parçaları görüntüledi.

Yayın Tarihi: 25.01.2026 16:54
Güncelleme Tarihi: 25.01.2026 17:04

Marmara'da 50 Yıllık Kayıp: THY 'Bursa' Uçağına Ait Yeni Parçalar İddiası

Marmara'da 50 Yıllık Kayıp: THY 'Bursa' Uçağına Ait Yeni Parçalar İddiası

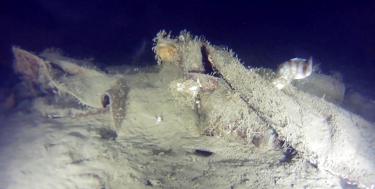
Su altı dronu ile yapılan dalışta enkaza ait olduğu düşünülen parçalar görüntülendi

Youtuber Nedim Kuru ve ekibi, su altı dronu ile yaptıkları dalışta Marmara Denizi'nde 50 yıldır ulaşılamayan Türkiye Hava Yolları'na (THY) ait 'Bursa' isimli F-28 uçağına ait olduğu iddia edilen parçaları görüntülediklerini öne sürdü.

30 Ocak 1975 tarihinde İzmir-İstanbul seferi sırasında inişe geçtiği sırada Büyükçekmece açıklarına düşen uçağın enkazına dair ekibin son dalışında, uçağın gövdesine ait olduğu düşünülen parçalar kaydedildi.

Kaza, o tarihte 42 kişinin hayatını kaybetmesiyle sonuçlanmıştı. Arama çalışmaları, dönemin teknolojik yetersizlikleri nedeniyle sınırlı kalmış ve enkaz resmi olarak çıkarılamamıştı.

Kazada yaşamını yitirenler arasında teknik direktör Fatih Terim'in kayınpederi Kamuran Aksu ile şarkıcı Seyyal Taner'in hostes kardeşi de bulunuyordu. Ekibin paylaştığı görüntüler, iddiaların yeniden gündeme gelmesine yol açtı.

İddialar bağımsız kuruluşlarca doğrulanmadı; yetkililer ve uzmanlar tarafından yapılacak incelemeler, bulunanan parçaların gerçekliğini ve enkazın kesin konumunu netleştirecek.

MARMARA DENİZİ'NE 50 YIL ÖNCE DÜŞEN UÇAĞIN GÖVDESİNE AİT YENİ PARÇALARI BULUNDU

MARMARA DENİZİ'NE 50 YIL ÖNCE DÜŞEN UÇAĞIN GÖVDESİNE AİT YENİ PARÇALARI BULUNDU

MARMARA DENİZİ'NE 50 YIL ÖNCE DÜŞEN UÇAĞIN YENİ PARÇALARI BULUNDU

Yazar
EDİTÖR

Hakan Demir

4 yıllık deneyimli. Ege Bölgesi'ndeki gelişmeleri takip ederken, aynı zamanda sosyal medya trendlerini haberleştiren dinamik bir editör. Çevre haberleri ve sosyal olaylarda uzmanlaşmıştır.